La Comisión de Patrimonio autoriza el proyecto de ejecución para finalizar el Eje Monumental de Astorga
Patrimonio también ha dado luz verde este lunes a la renovación del pavimento en las calles Passo Honroso, tras la Iglesia y Órbigo, en la localidad de Puente de Órbigo.
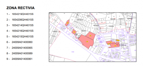
![[Img #59706]](https://astorgaredaccion.com/upload/images/08_2022/7425_4078_merida-1.png)
La Comisión Territorial de Patrimonio Cultural ha autorizado este lunes el proyecto básico y de ejecución de urbanización de la calle Doctor Mérida Pérez, de Astorga, cuyas obras están condicionadas a las modificaciones que puedan surgir tras la intervención arqueológica.
La obra ya cuenta con una subvención de 465.000 euros concedida por la Junta de Castilla y León el pasado mes de diciembre que servirá para finalizar el Eje Monumental desde la parte trasera de la Catedral hasta el Parque del Aljibe. El proyecto prevé una inversión de 652.800 euros para Integrar la calle Mérida Pérez en el Eje Monumental, con el mismo tratamiento en materiales que el resto ya ejecutado desde la plaza de San Franciso. El Ayuntamiento asumirá la diferencia entre la subvención concedida por la Junta y el total de la inversión.
La remodelación del Eje Monumental comenzó en 1998 con un concurso de ideas y está siendo ejecutado en diferentes fases desde el año 2000.
En la Comisión también ha autorizado las obras de renovación del pavimento en tramos de las calles Passo Honroso, tras la Iglesia y Órbigo, en la localidad de Puente de Órbigo; y ha informado favorablemente la intervención propuesta para la restauración del retablo de la Inmaculada de la iglesia parroquial de Pobladura de la Sierra.
La Comisión se ha celebrado de manera presencial en el Ayuntamiento de Vega de Espinareda.
![[Img #59706]](https://astorgaredaccion.com/upload/images/08_2022/7425_4078_merida-1.png)
La Comisión Territorial de Patrimonio Cultural ha autorizado este lunes el proyecto básico y de ejecución de urbanización de la calle Doctor Mérida Pérez, de Astorga, cuyas obras están condicionadas a las modificaciones que puedan surgir tras la intervención arqueológica.
La obra ya cuenta con una subvención de 465.000 euros concedida por la Junta de Castilla y León el pasado mes de diciembre que servirá para finalizar el Eje Monumental desde la parte trasera de la Catedral hasta el Parque del Aljibe. El proyecto prevé una inversión de 652.800 euros para Integrar la calle Mérida Pérez en el Eje Monumental, con el mismo tratamiento en materiales que el resto ya ejecutado desde la plaza de San Franciso. El Ayuntamiento asumirá la diferencia entre la subvención concedida por la Junta y el total de la inversión.
La remodelación del Eje Monumental comenzó en 1998 con un concurso de ideas y está siendo ejecutado en diferentes fases desde el año 2000.
En la Comisión también ha autorizado las obras de renovación del pavimento en tramos de las calles Passo Honroso, tras la Iglesia y Órbigo, en la localidad de Puente de Órbigo; y ha informado favorablemente la intervención propuesta para la restauración del retablo de la Inmaculada de la iglesia parroquial de Pobladura de la Sierra.
La Comisión se ha celebrado de manera presencial en el Ayuntamiento de Vega de Espinareda.






