Bando sobre desbroce de solares en el municipio de Astorga
![[Img #59745]](https://astorgaredaccion.com/upload/images/08_2022/7413_1418_6515_2743_2824_5980_captura.jpg)
Juan José Alonso Perandones, alcalde-presidente del Ayuntamiento de Astorga
Hago saber:
Esta Alcaldía el pasado 30 de mayo emitió un nuevo bando ante el riesgo de incendios, próxima la época estival. En el mismo se manifestaba la advertencia “a los propietarios de terrenos próximos a edificios de carácter industrial y urbano” de su obligación de mantener los mismos desbrozados y limpios, en razón de la salubridad, seguridad y ornato públicos.
Es justo el reconocer que han sido numerosos los vecinos con propiedades que este año se han esmerado en cumplir el precepto anterior, emitido por la Alcaldía, y no es menos cierto, tampoco, que el propio Ayuntamiento ha llevado a cabo una labor intensa de desbroce en suelos públicos de la ciudad y de los pueblos. Obviamente, en un tiempo, pues resulta imposible a la institución municipal el dar una respuesta inmediata en todos los espacios públicos.
Por el Ayuntamiento se va a proceder a una segunda campaña de desbroce en próximos días, y se insta igual proceder a los propietarios en el caso de que, aun habiendo realizado una primera limpieza, comprueben, dada la climatología, se puede ocasionar daño a los colindantes.
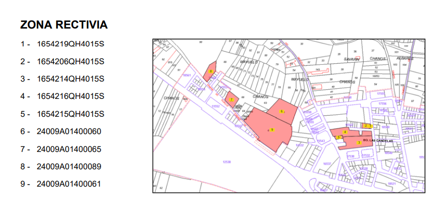
No obstante lo dicho anteriormente, se ha constatado, en reciente inspección, que perduran una serie de fincas o solares, que no han sido desbrozados, ni ejecutado en ellos limpieza, según expediente que se comunica y adjunta para conocimiento público. Por ello, se les comunica a todos estos propietarios de Astorga, Valdeviejas y Murias de Rechivaldo, que si en el plazo de ocho días, a partir de la publicación de este Bando, no han realizado las labores de limpieza y desbrozado de sus propiedades, ejecutará las mismas el Ayuntamiento, con la repercusión, a cada titular, del costo que tal labor ocasiona, así como el relativo a la inspección, informes y publicidad preceptivos.
Así queda dispuesto para su cumplimiento, el 3 de agosto de 2022.
SOLARES A LIMPIAR
![[Img #59733]](https://astorgaredaccion.com/upload/images/08_2022/7635_rectivia.png)
![[Img #59739]](https://astorgaredaccion.com/upload/images/08_2022/7290_2-sta-clara.png)
![[Img #59740]](https://astorgaredaccion.com/upload/images/08_2022/5239_3-bolos.png)
![[Img #59742]](https://astorgaredaccion.com/upload/images/08_2022/2818_4-san-marcos.png)
![[Img #59743]](https://astorgaredaccion.com/upload/images/08_2022/3380_5-murias.png)
![[Img #59744]](https://astorgaredaccion.com/upload/images/08_2022/3531_6-valdeviejas.png)
![[Img #59745]](https://astorgaredaccion.com/upload/images/08_2022/7413_1418_6515_2743_2824_5980_captura.jpg)
Juan José Alonso Perandones, alcalde-presidente del Ayuntamiento de Astorga
Hago saber:
Esta Alcaldía el pasado 30 de mayo emitió un nuevo bando ante el riesgo de incendios, próxima la época estival. En el mismo se manifestaba la advertencia “a los propietarios de terrenos próximos a edificios de carácter industrial y urbano” de su obligación de mantener los mismos desbrozados y limpios, en razón de la salubridad, seguridad y ornato públicos.
Es justo el reconocer que han sido numerosos los vecinos con propiedades que este año se han esmerado en cumplir el precepto anterior, emitido por la Alcaldía, y no es menos cierto, tampoco, que el propio Ayuntamiento ha llevado a cabo una labor intensa de desbroce en suelos públicos de la ciudad y de los pueblos. Obviamente, en un tiempo, pues resulta imposible a la institución municipal el dar una respuesta inmediata en todos los espacios públicos.
Por el Ayuntamiento se va a proceder a una segunda campaña de desbroce en próximos días, y se insta igual proceder a los propietarios en el caso de que, aun habiendo realizado una primera limpieza, comprueben, dada la climatología, se puede ocasionar daño a los colindantes.
No obstante lo dicho anteriormente, se ha constatado, en reciente inspección, que perduran una serie de fincas o solares, que no han sido desbrozados, ni ejecutado en ellos limpieza, según expediente que se comunica y adjunta para conocimiento público. Por ello, se les comunica a todos estos propietarios de Astorga, Valdeviejas y Murias de Rechivaldo, que si en el plazo de ocho días, a partir de la publicación de este Bando, no han realizado las labores de limpieza y desbrozado de sus propiedades, ejecutará las mismas el Ayuntamiento, con la repercusión, a cada titular, del costo que tal labor ocasiona, así como el relativo a la inspección, informes y publicidad preceptivos.
Así queda dispuesto para su cumplimiento, el 3 de agosto de 2022.
SOLARES A LIMPIAR
![[Img #59733]](https://astorgaredaccion.com/upload/images/08_2022/7635_rectivia.png)
![[Img #59739]](https://astorgaredaccion.com/upload/images/08_2022/7290_2-sta-clara.png)
![[Img #59740]](https://astorgaredaccion.com/upload/images/08_2022/5239_3-bolos.png)
![[Img #59742]](https://astorgaredaccion.com/upload/images/08_2022/2818_4-san-marcos.png)
![[Img #59743]](https://astorgaredaccion.com/upload/images/08_2022/3380_5-murias.png)
![[Img #59744]](https://astorgaredaccion.com/upload/images/08_2022/3531_6-valdeviejas.png)





